Pharaoh Ants

What Are Pharaoh Ants?
Pharaoh ants (Monomorium pharaonis) are a highly invasive, tiny indoor pest ant species known for forming large, hidden colonies inside buildings and being especially difficult to eliminate once established.
They are very small—about 1.5–2 mm long—and light yellow to reddish-brown in color. Despite their size, they are one of the most problematic structural ant pests because of their unique colony structure and behavior.
Unlike many ants that have a single queen colony, pharaoh ants form multi-queen “supercolonies” with many interconnected nesting sites. These nests are often hidden deep inside wall voids, insulation, electrical outlets, appliance housings, ceilings, and furniture, making them extremely difficult to locate and treat directly.
A key behavioral trait that makes them especially challenging is “budding”—when disturbed or threatened, a colony does not die off; instead, it splits into multiple new colonies. This means that inappropriate control methods (especially repellent sprays) can actually make infestations worse by spreading them throughout a structure.
Pharaoh ants are strongly attracted to sugary foods, greasy residues, and protein sources, which is why they are commonly found in kitchens, hospitals, restaurants, hotels, and food-handling facilities. They also require warm, humid environments, which makes heated indoor structures ideal habitats year-round.
From a pest control standpoint, they are considered one of the most difficult indoor ants to manage because their colonies are hidden and widespread, they reproduce rapidly with multiple queens, their colonies fragment easily when disturbed, and they readily relocate within buildings.
Effective management typically relies on slow-acting bait systems (not sprays), strict sanitation, and long-term monitoring, because bait allows workers to carry toxicants back to multiple queens and satellite nests, eventually collapsing the entire colony network.
Are Pharaoh Ants Harmful?
Yes, Pharaoh ants (Monomorium pharaonis), also known as sugar ants, house ants, or tiny yellow ants, are harmful, both as a nuisance and as a serious public health threat. Despite their small size, these ants pose disproportionate risks, especially in sensitive environments like hospitals, long-term care facilities, food processing areas, and residential homes.
Public Health and Medical Concerns
Pharaoh ants are not dangerous in the same direct way as venomous pests or disease-carrying vectors like mosquitoes, but they are considered a significant public health and medical concern in sensitive environments because of their ability to mechanically transfer pathogens and contaminate sterile or food-preparation areas.
One of the primary concerns is mechanical disease transmission. Pharaoh ants do not transmit pathogens biologically (they don’t host or incubate diseases), but they can pick up bacteria, viruses, and fungi on their bodies and mouthparts as they travel through contaminated areas such as drains, garbage, soiled surfaces, or medical waste. They can then deposit these organisms onto food, utensils, wounds, medical equipment, or sterile supplies. This makes them particularly problematic in hospitals and healthcare facilities.
In medical settings, pharaoh ants have been documented as potential carriers of hospital-associated pathogens, including bacteria such as Staphylococcus, Streptococcus, Pseudomonas, and occasionally antibiotic-resistant organisms like MRSA in contaminated environments. Their ability to move freely between patient areas, medical equipment, and waste zones increases the risk of cross-contamination, especially in intensive care units, neonatal wards, and surgical environments.
Another concern is wound and invasive site contamination. Because pharaoh ants are extremely small, they can access bandages, IV sites, catheters, and other medical entry points. While they do not bite in a medically significant way, their presence in these areas can introduce contaminants that may contribute to secondary infections in vulnerable patients.
They also present a psychological and operational concern in healthcare and commercial facilities. Their persistent presence can compromise perceived sanitation standards and require ongoing monitoring and specialized control protocols, particularly because improper control methods (like spraying repellents) can cause colony fragmentation and spread contamination risk across a wider area.
Food Contamination
Pharaoh ants can contaminate food, and this is one of their most important public health concerns.
They contaminate food through mechanical transfer of microorganisms. As they forage, pharaoh ants travel across a wide range of environments—drains, trash areas, food debris, wall voids, and sometimes medical or sanitary waste. During this movement, bacteria, fungi, and other microbes can adhere to their bodies, legs, and mouthparts. When they then enter kitchens, pantries, restaurants, or food processing areas, they can deposit those contaminants directly onto exposed food or food-contact surfaces.
Contamination can occur in several ways:
- Direct contact with exposed food (especially sweets, grease, and proteins they actively feed on)
- Walking across food preparation surfaces, transferring microbes picked up elsewhere
- Contaminating packaged foods if they enter opened containers or damaged packaging
- Foraging trails, where large numbers of ants repeatedly travel between contaminated and clean areas, increasing spread potential
Because pharaoh ants form large, hidden multi-queen colonies and forage in persistent trails, contamination risk is not limited to a few isolated individuals—it can involve continuous, repeated exposure of food areas over time.
They are attracted to both sugary and protein-based foods, meaning they can contaminate a wide range of items, including baked goods, meat products, sauces, and pantry staples.
While they do not “poison” food in a toxic sense, the main concern is microbial contamination, which can increase the risk of foodborne illness, especially in environments where sanitation is already compromised or in vulnerable populations.
Structural and Mechanical Risks
Pharaoh ants do not typically cause direct structural damage like carpenter ants or termites, but they are associated with several important mechanical and operational risks inside buildings, especially in healthcare, food service, and multi-unit facilities.
One key risk is infestation of electrical and mechanical systems. Pharaoh ants are extremely small and can enter switch boxes, electrical outlets, circuit panels, HVAC controls, and appliance housings. When large numbers are present, they may create interference issues such as shorting sensitive components, triggering alarms, or disrupting control systems in specialized environments (for example, hospital monitoring equipment or building automation systems). While they do not chew wood or wiring like some pests, their sheer numbers and nesting behavior in warm, protected cavities can lead to operational malfunctions.
Another major concern is contamination of mechanical systems through nesting behavior. Pharaoh ants commonly establish satellite nests inside wall voids, insulation, ceiling spaces, and equipment housings. These hidden colonies can spread across interconnected structural voids, making infestations difficult to isolate. Their presence in these areas can lead to odor issues, debris accumulation, and contamination of air handling systems if colonies are located near HVAC intakes or ductwork.
They also create maintenance and sanitation burdens that can indirectly affect building integrity over time. For example, persistent infestations may lead to repeated dismantling of equipment, wall openings, or ceiling access for inspection and treatment. This repeated access can cause wear, minor structural disturbance, and increased maintenance costs, even though the ants themselves are not structurally destructive.
In sensitive environments, especially healthcare facilities, pharaoh ants can compromise sterility and operational integrity of medical infrastructure. They may invade sterile storage areas, contaminate equipment surfaces, and interfere with infection control protocols. While this is not structural damage in the traditional sense, it represents a significant functional and regulatory risk to building systems and operations.
Another indirect mechanical issue is their tendency to form widespread, hidden colony networks inside structural voids. Because they respond to disturbance by budding (splitting colonies), improper treatment can spread them deeper into walls and mechanical spaces, increasing the complexity of infestations and making future remediation more invasive.
Behavioral Traits That Exacerbate Infestations
Pharaoh ants have several highly specialized behavioral traits that make their infestations unusually persistent and difficult to control. These traits don’t just support their survival—they actively accelerate spread and undermine common control efforts when not properly managed.
One of the most important traits is multi-queen colony structure. Pharaoh ants form colonies with multiple reproductive queens rather than a single central queen. This means the colony is highly redundant—even if a portion of the population is removed, other queens continue reproducing, allowing the infestation to persist or rebound quickly.
Closely related is their budding (fragmentation) behavior. When a colony is disturbed—especially by repellent sprays, dusting, or physical disruption—it does not collapse. Instead, it splits into multiple smaller satellite colonies, each with workers and queens. This is a key reason infestations often worsen after improper treatment, spreading into walls, ceilings, and adjacent rooms.
Another major behavioral trait is their constant satellite nesting strategy. Pharaoh ants do not rely on a single nest. Instead, they maintain multiple interconnected nests in different hidden locations (wall voids, electrical outlets, appliances, insulation, and furniture). These nests can shift dynamically depending on food availability, temperature, or disturbance, making infestations highly fluid and difficult to locate.
They also exhibit persistent, organized foraging behavior. Pharaoh ants establish long-lasting pheromone trails that allow large numbers of workers to move efficiently between nests and food sources. These trails are quickly reinforced and difficult to eliminate, leading to rapid re-establishment of activity even after cleaning or partial control.
Another exacerbating behavior is their extreme opportunism in nesting sites and food sources. They will exploit nearly any available resource, including very small amounts of grease, sugar, protein residues, or moisture. This allows them to thrive in environments that appear clean and controlled, especially kitchens, hospitals, and food-handling areas.
They also show a high sensitivity to environmental disturbance paired with adaptive relocation. Instead of being eliminated by disruption, they respond by relocating nests deeper into structures or into less accessible voids, increasing concealment and making future treatment more difficult.
Finally, their small size and ability to exploit microscopic gaps allows them to penetrate nearly any structural barrier, including sealed-looking walls, electrical boxes, and equipment housings, which enables rapid and often unseen expansion.
Psychological and Economic Impact
Homeowners and facility managers often experience frustration, stress, and financial loss due to persistent infestations.
In commercial settings, particularly in the food and healthcare industries, infestations can result in regulatory violations, fines, reputation damage, and even facility shutdowns.
Learn more: Do Pharaoh Ants Bite? || What Do Pharaoh Ants Eat?
What Do Pharaoh Ants Look Like?
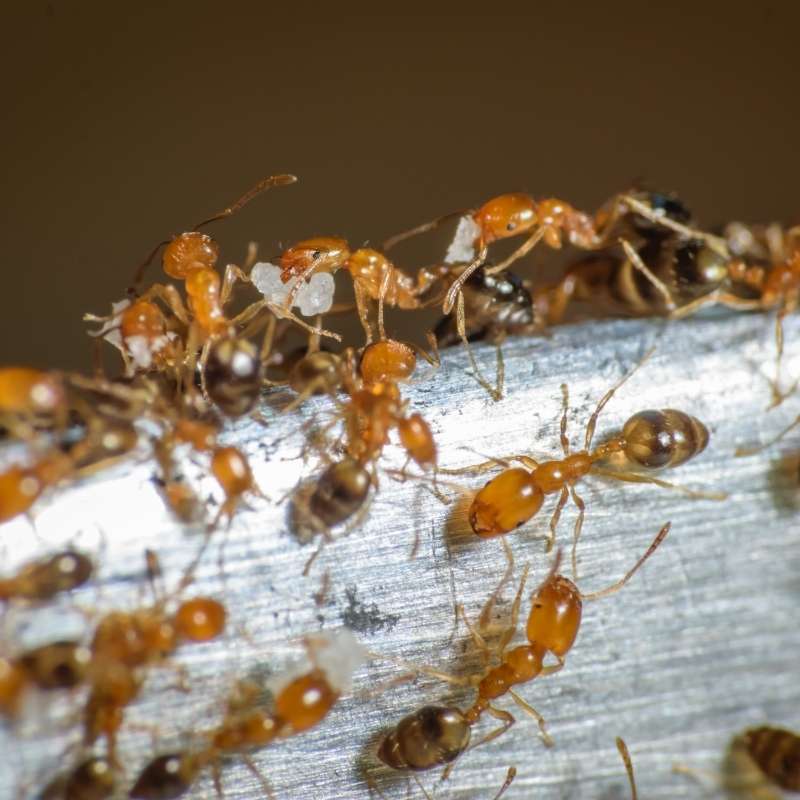
Pharaoh ants (Monomorium pharaonis) are very small, delicate-looking ants that can easily be mistaken for other species due to their tiny size and pale coloration. However, their distinctive features—particularly their color, size, and segmented body parts—can help trained eyes or pest professionals identify them accurately. Here’s what they look like:
- Workers: About 1/16 inch (1.5–2 mm) long—very small, even compared to other household ants.
- Queens: Larger, around 1/8 inch (3.6 mm) long.
- Body: Pale yellow to reddish-yellow.
- Abdomen (gaster): Typically darker, often brown to black. This contrast between the light body and darker rear end is one of the visual cues to identify them.
- Antennae: 12 segments with a three-segmented club at the tip. These antennae are elbowed (bent), like those of most ants, and are used for sensing their environment.
- Three distinct body parts: head, thorax, and abdomen, with a narrow "waist" composed of two petiole nodes.
- Thorax: Smooth and lacks spines or projections, which is helpful for distinguishing them from other similar species.
- Eyes: Relatively small but visible under magnification.
- Wings (in reproductive forms): Winged males and queens may be present during swarming or mating activity. Males are dark and slightly smaller than queens. Winged forms are rarely seen indoors because Pharaoh ants do not swarm to mate; they reproduce within the colony.
Pharaoh ants move in well-defined trails, often seen along baseboards, wiring, or wall voids. Their slow, meandering movement helps differentiate them from faster, more erratic ant species.
Where Are Pharaoh Ants Found?
Pharaoh ants (Monomorium pharaonis) are found worldwide, but they are particularly problematic in warm, humid environments and in indoor settings where they can maintain stable temperatures year-round. Originally thought to be native to Africa, these ants have spread globally due to human activity and are now established pests in both tropical and temperate climates, especially in buildings where warmth, moisture, and food are readily available. Here’s where Pharaoh ants are found:
Indoor Environments (Most Common Habitat)
Pharaoh ants are indoor specialists, especially in cooler climates where they cannot survive outdoors year-round. They thrive in climate-controlled structures, including:
Residential Properties
- Kitchens (especially near sinks and appliances)
- Bathrooms
- Behind baseboards, in wall voids, or under flooring
- Around water heaters or radiators
Commercial Buildings
- Restaurants and commercial kitchens
- Food processing facilities
- Grocery stores and warehouses
- Hotels and office buildings
Healthcare Facilities (High-Risk Areas)
- Hospitals and nursing homes are particularly vulnerable
- Found in patient rooms, operating theaters, IV units, and medical storage areas
- Known to enter wounds, IV lines, and sterile environments, making them a serious health threat
Nesting Sites Within Structures
Pharaoh ants prefer hidden, warm, and humid nesting areas. Some common nesting locations include:
- Wall and cabinet voids
- Electrical outlets and junction boxes
- Behind baseboards and under floors
- Inside insulation
- Behind switch plates
- In appliances (microwaves, refrigerators, etc.)
These ants often choose multiple nesting sites throughout a building, making infestations difficult to trace and eliminate without a systematic approach.
Geographic Distribution
Pharaoh ants are found:
- Globally in urban and suburban environments
- Throughout the United States, especially in the South and Southeast where conditions are warmer and more humid
- In northern U.S. states and Canada, but almost exclusively indoors due to colder outdoor temperatures
- In Europe, particularly in hospitals, greenhouses, and heated buildings
- Across Asia, the Middle East, Africa, and South America, thriving in both homes and commercial settings
Outdoor Habitats (Rare and Climate-Dependent)
While Pharaoh ants can nest outdoors in tropical and subtropical climates, they are almost always found indoors in temperate regions. Outdoor nesting is uncommon and typically short-lived, as they are sensitive to environmental fluctuations such as cold, drought, or heavy rains.
Transportation and Spread
Pharaoh ants are easily spread via:
- Infested packaging and shipments
- Luggage and personal belongings
- Medical and food supply chains
- Equipment and furniture moved from one building to another
This ability to travel and relocate contributes to their global presence and makes them an ongoing challenge in pest management, especially in healthcare and commercial settings.
What Do Pharaoh Ants Eat?
Pharaoh ants are omnivorous, which means they have a varied diet and consume a wide range of food sources. Their dietary preferences make them highly adaptable and capable of thriving in various environments. Here's a breakdown of what pharaoh ants commonly eat:
- Sugars: Pharaoh ants have a sweet tooth and are particularly attracted to sugary substances. They feed on items like sugar, honey, syrups, and nectar. They are notorious for seeking out sweet spills and crumbs in homes and other indoor spaces.
- Proteins: These ants also require protein for their diet. They obtain protein from sources such as insects, meat, pet food, and even dead insects. Protein is especially important for the development of ant larvae and maintaining the overall health of the colony.
- Fats: Pharaoh ants have a need for fats, which they can find in various sources like oily foods, greasy residues, and certain insects. Fats provide essential energy for the ants.
- Other food sources: Pharaoh ants are opportunistic feeders and will scavenge on a wide range of items. They may feed on crumbs, food scraps, and even decaying organic matter.
Their ability to feed on such a diverse array of food sources makes pharaoh ants adaptable to both natural and human-made environments. However, this omnivorous nature also contributes to their status as household pests, as they can contaminate food and infest kitchens and other areas where food is stored or prepared. Effective pest control measures are often necessary to manage pharaoh ant infestations.
Pharaoh Ant Life Cycle
The life cycle of Pharaoh ants (Monomorium pharaonis) is relatively complex and plays a significant role in how their colonies grow and reproduce. Their ability to establish large, persistent colonies, often with multiple queens (a trait known as polygyny), makes them particularly difficult to control. Here is their life cycle, from egg to adult:
Egg Stage
- Duration: 3 to 5 days (depending on environmental conditions)
- Pharaoh ant eggs are tiny, oval-shaped, and white or translucent.
- Queens lay numerous eggs, and the colony's size can grow rapidly if the conditions are favorable.
- In favorable environments (warmth, humidity, and availability of food), the eggs hatch relatively quickly.
Larval Stage
- Duration: 7 to 12 days
- The larvae are white and soft-bodied, resembling tiny, legless grubs.
- During this stage, the larvae are fed by worker ants. The workers feed them a mixture of regurgitated food and other nutrients.
- The larvae go through several instars (growth stages) before reaching their pupal stage. The number of instars can vary depending on the food supply and environmental conditions.
Pupal Stage
- Duration: 6 to 12 days
- During this stage, the larvae molt into pupae, which are similar in appearance to adults, though they are still immobile and protected by a silken cocoon.
- The pupae develop into adult ants, including workers, drones (males), and queens, depending on the needs of the colony and environmental factors.
Adult Stage
- Duration: Worker ants typically live for several weeks to a few months, while queens can live for several years.
- Workers are sterile females responsible for foraging, nursing the brood, cleaning, and defending the nest. Workers can range in size from 1.5 to 2 mm.
- Drones are male ants that are produced for reproduction. They do not participate in foraging or colony maintenance but only exist to mate with queens.
- Queens are larger and are responsible for laying eggs. A single Pharaoh ant colony can contain several queens(polygyny), and each queen can lay thousands of eggs in her lifetime.
Reproduction and Colony Growth
- Budding: Pharaoh ant colonies grow by a process called budding, where part of the colony, including one or more queens, workers, and brood (eggs, larvae, pupae), leaves the original nest to establish a new colony. This ability to "bud" enables the colony to spread rapidly, which can make eradication very difficult if the entire colony is not targeted.
- Multiple Queens: Since Pharaoh ants are polygynous, there are typically several queens in each colony. This means a colony can sustain its population through reproduction even if some queens are removed.
- Mating: Pharaoh ants do not swarm in large groups for mating, as many other ant species do. Instead, mating typically happens within the nest between workers and newly mature queens or males.
Pharaoh Ant Removal
Pharaoh ants are considered one of the most problematic pest species in both residential and commercial settings, and eliminating them is crucial for several reasons:
Rapid Reproduction and Colonization
Pharaoh ants are tiny but extremely prolific. A single colony can contain thousands of individuals, and colonies often fragment when disturbed, forming “satellite colonies” in multiple areas.
This makes infestations difficult to control once they establish, as a partial treatment can inadvertently worsen the problem by spreading colonies further.
Disease Transmission
These ants are notorious vectors of pathogens. They have been found carrying bacteria such as Salmonella, Staphylococcus, and Streptococcus, which can contaminate food, surfaces, and medical environments.
In hospitals and food-handling facilities, they pose a serious health risk because they can reach sterile or sensitive areas.
Damage to Property
While they do not chew through structures like termites, pharaoh ants can infiltrate insulation, electronics, and machinery, potentially causing minor damage or operational issues.
Their presence in electrical devices can lead to short circuits or malfunction due to their nesting habits.
Difficult to Control
Pharaoh ants are resistant to many standard pest control measures. Spraying or disturbing a colony often causes it to split and relocate, multiplying the problem.
Effective elimination requires targeted baits that the ants carry back to the queen and satellite colonies, making professional control strategies essential.
Economic Impact
In commercial settings—especially hospitals, restaurants, and food processing plants—infestations can result in regulatory violations, fines, and reputational damage.
Persistent infestations increase costs for ongoing pest management and sanitation measures.
Persistent and Adaptive Behavior
Pharaoh ants are highly adaptable, able to survive on a wide variety of food sources, including sweets, proteins, and fats.
Their small size and ability to nest in hidden, inaccessible locations make early detection and eradication critical.
Leaving pharaoh ants unchecked isn’t just a nuisance—it’s a significant health, operational, and economic risk. Professional eradication is often the only reliable solution, because improper treatment can exacerbate the infestation rather than eliminate it.
Learn more: How To Get Rid Of Pharaoh Ants
Pharaoh Ant Control
Pharaoh ants are one of the most difficult household ant species to eliminate, and our professional pest control is usually the most effective solution. Here’s why hiring our experts is highly recommended:
- Pharaoh ants form massive colonies with multiple queens, which means that even if you eliminate part of the colony, the remaining ants can quickly reproduce and spread. Attempting DIY methods—such as sprays or store-bought insecticides—will typically make the problem worse by causing the colony to “bud,” where ants scatter and form new satellite nests throughout your property. This leads to even larger, harder-to-control infestations.
- Our professional pest control technicians understand Pharaoh ant biology and behavior, allowing them to create a customized treatment plan. Instead of using repellant sprays that drive ants deeper into walls or hidden spaces, our professionals rely on advanced, targeted baiting systems designed to reach the entire colony, including the queens. We also know how to strategically place baits where foragers will find them and carry them back to the nest, ensuring complete colony elimination rather than just temporary relief.
- Pharaoh ants are more than just a nuisance—they contaminate food, medical supplies, and sterile environments, carrying pathogens that threaten human health. For homeowners, this means protecting your family from potential contamination. For businesses, especially those in healthcare, hospitality, or food service, a Pharaoh ant infestation can lead to serious safety concerns and reputation damage if not resolved quickly and thoroughly.
By hiring our professional pest control, you gain access to expertise, proven products, and monitoring strategies that ensure Pharaoh ants are eliminated at the source and don’t return.
Pharaoh Ant Exterminators
Hiring our local exterminators for a pharaoh ant infestation often delivers better, safer, and faster results than relying on a national chain. Here’s why:
Deep Understanding of Local Conditions
Our local professionals know the climate, building styles, and regional pest pressures that influence how pharaoh ants behave in your area. These ants adapt differently in humid, arid, or mixed climates, and local companies fine-tune treatments accordingly—something national firms often overlook with “one-size-fits-all” protocols.
More Accurate and Flexible Treatment Plans
Pharaoh ants require highly specific baiting strategies. If treatments aren’t tailored to the exact population dynamics and nest structure, colonies bud and spread. Our local exterminators:
- Perform detailed inspections
- Use colony-specific baiting methods
- Adjust the treatment quickly based on what they see on-site
National companies typically follow rigid corporate playbooks that leave little room for the nuanced adjustments pharaoh ants demand.
Faster Response and Consistent Technicians
With pharaoh ants, timing matters. The longer they’re active, the more colonies form. Our local team provides:
- Quicker scheduling
- Shorter return-visit windows
- The same technician each time, ensuring continuity and better problem-solving
National providers often rotate techs, meaning each visit may start from scratch with someone new.
Higher Accountability and Better Customer Service
Our local team depends heavily on our community reputation. That means we usually provide more personalized service, clearer communication, and greater accountability. If something isn’t right, you can often speak directly with the lead technician—something far harder with a national call center.
More Comprehensive Follow-Ups
Pharaoh ants require monitoring to confirm the queen and satellite colonies are eliminated. Our local exterminators tend to offer:
- More hands-on follow-up
- Fine-tuning of bait placement
- Proactive prevention advice
National firms may provide minimal or standardized follow-up windows.
Support for Local Expertise and Economy
Hiring our local exterminators keeps money in the community and strengthens a business that genuinely invests in local homes, commercial properties, and long-term relationships.
Pharaoh Ant Solutions
Our exterminators use Integrated Pest Management (IPM) to control pharaoh ants because these ants are particularly challenging due to their tendency to form multiple interconnected colonies and split into “satellite” colonies when disturbed, which can render conventional spraying ineffective. IPM begins with a thorough inspection to locate foraging trails, nesting sites, and conditions that support the colony, such as accessible food and moisture. Treatments focus on the strategic placement of slow-acting baits that worker ants carry back to the queen and brood, ensuring the elimination of the colony without triggering dispersal. Habitat modification, including sealing entry points, improving sanitation, and reducing moisture, helps prevent reinfestation. Regular monitoring allows our exterminators to track ant activity and adjust interventions as needed. By combining precise targeting, long-term prevention, and minimal pesticide use, IPM provides an effective, environmentally responsible approach for controlling pharaoh ant populations.
Hear From Our Happy Customers
-
"Fantastic & Patient"
Jarvis was fantastic and patient. He answered my questions with an in-depth explanation and addressed all of my areas of concern. Would love for him to be my assigned tech going forward. Well done!
- Yonnette M. -
"Great Communication"
Tech was on time, communication was great, and he accommodated my needs.
- Alonzo W. -
"Professional & Considerate"
I’m pleased with Miche services. Jarvis came today. Professional and considerate. Thank you!
- Judy B. -
"Exceeds Expectations"
I can’t say enough positive things about this company... The tech that came out, Jarvis went above and beyond my expectations. Thank you guys, I will continue using your services.
- Jake M. -
"Wonderful Service"
Wonderful service. Jarvis is great. Took care of everything I needed. Thank you!
- Henry P. -
"Very Knowledgeable"
The tech that arrived was courteous, professional, and very knowledgeable. He was Great.
- Uerial I.