What Do Argentine Ants Eat?

what do argentine ants eat
|

What Can Argentine Ants Eat?

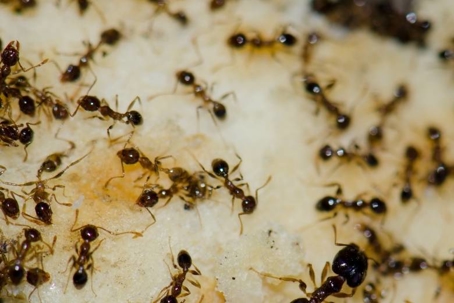
Argentine ants are highly adaptable omnivores, which is part of why these ants are such persistent pests. Their diet is broad and can include:

  • Sugary foods: They are particularly attracted to sweet substances such as nectar, honeydew (produced by aphids and other sap-sucking insects), syrup, sugar, fruit juices, and spilled soft drinks. This preference often drives them into homes in search of kitchen crumbs or sugary residues.

  • Proteins: They consume protein-rich foods including dead insects, small invertebrates, and occasionally animal-based products like meat scraps or pet food. Protein is especially important for feeding their larvae.

  • Fats: Argentine ants will also eat greasy foods or fatty substances, which can be found in kitchens, garbage, or even natural sources like seeds with oil content.

  • Plant material: While they primarily forage for sugar and protein, they may also consume seeds or other plant matter if accessible.

  • Insect honeydew: A major food source in outdoor environments comes from tending aphids or scale insects for their sugary excretions.

Their ability to exploit both natural and human food sources makes them highly invasive, and it’s one of the main reasons infestations can spread so quickly.

What Do Argentine Ants Eat?

Argentine ants most commonly prefer sugary foods. Sweet substances like nectar, honeydew from aphids, fruit juices, sugar, syrup, and other carbohydrate-rich sources are their primary attraction. While they do consume proteins and fats—such as dead insects, meat scraps, or greasy food—sugars are their main focus, especially for feeding adult ants. Protein is more important for the larvae, but the foraging workers are almost always drawn first to sweet sources.

Their strong preference for sugar explains why infestations of these ants often appear in kitchens, near fruit bowls, sugary spills, or even on outdoor plants that attract aphids.

Do Argentine Ants Eat Insects?

Argentine ants are opportunistic feeders when it comes to protein, and insects make up a significant part of that diet. These ants commonly eat:

  • Small insects: This includes ants from other colonies, small flies, aphids, and other soft-bodied insects.

  • Dead insects: Argentine ants are scavengers and will readily consume dead insects they encounter.

  • Insect larvae and pupae: They may raid nests of other insects, including other ant species, to feed their own colony’s brood.

  • Honeydew-producing insects: While they don’t “eat” aphids or scale insects directly, they tend them for their sugary secretions, effectively farming them for food.

Their consumption of insects is usually protein-driven, supporting larval growth and colony expansion, while adults primarily seek sugars. This predatory and scavenging behavior contributes to their ability to outcompete native ant species.

Do Argentine Ants Eat Animals?

Argentine ants are not true predators of large animals, but they are opportunistic feeders and will take advantage of animal-based food sources when available. The “animals” they might eat generally fall into the following categories:

  • Small invertebrates: This includes insects, spiders, and other tiny arthropods. They may kill or scavenge these for protein.

  • Dead or decaying animals: They will feed on carrion, including dead insects, small mammals, or birds if accessible.

  • Animal-derived food in human environments: Scraps of meat, pet food, or other protein-rich leftovers are often consumed in kitchens or outdoor areas.

They do not actively hunt large animals; their impact is mostly through scavenging, predation on other insects, and tending honeydew-producing insects for sugar.

Do Argentine Ants Eat Plants?

Argentine ants are not herbivores, so they don’t typically “eat” plants in the way herbivorous insects do. However, they do interact with plants in ways that allow them to access food:

  • Sugary secretions from plants: They are attracted to nectar from flowers, extrafloral nectaries, and any sugary sap that plants exude. This is a major source of carbohydrates for adult ants.

  • Honeydew from plant-sucking insects: While not directly eating the plant, Argentine ants farm aphids, scale insects, and mealybugs that feed on plant sap, harvesting their sugary secretions. This indirectly links them to plants.

  • Fruits and seeds: They may feed on fallen or rotting fruits and sometimes seeds with high oil content, particularly when other food sources are scarce.

Argentine ants aren’t typically plant consumers, but they exploit plants indirectly to access sugars and nutrients. Their preference is always for sugar-rich substances rather than leaves or stems.